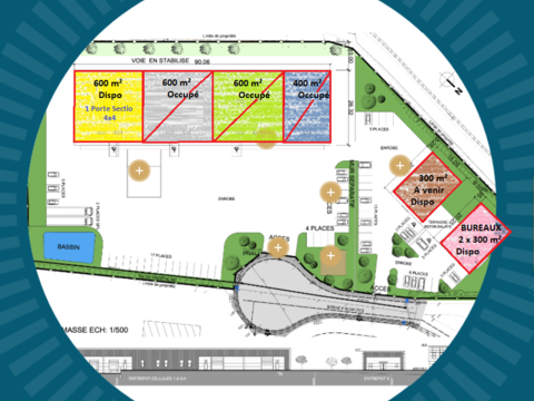
Entrepôts à louer dans le Limousin

Catégorie  

Localisation  

 

Budget  

 

Surface  

 

+ de critères  

  Créer une alerte

14 annonces

Tri icon tri